Bão Sinlaku Tiếp Tục Tăng Cường, Nguy Cơ Đạt Cấp Siêu Bão
Theo thông tin cập nhật từ Trung tâm Dự báo Khí tượng Thủy văn Quốc gia, cơn bão có tên quốc tế là Sinlaku đang hoạt động trên vùng biển phía Đông của Biển Đông. Hiện tại, bão đang di chuyển theo hướng Tây Tây Bắc với tốc độ khoảng 15-20 km/h và có xu hướng mạnh dần lên.
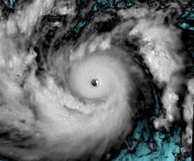
Diễn Biến Và Dự Báo Chi Tiết
Vào thời điểm hiện tại, tâm bão Sinlaku nằm ở khoảng vĩ độ 15,5 độ Bắc và kinh độ 118,5 độ Đông, cách quần đảo Hoàng Sa khoảng 500 km về phía Đông. Sức gió mạnh nhất vùng gần tâm bão đạt cấp 10-11, giật cấp 13. Dự kiến trong 24 đến 48 giờ tới, bão sẽ tiếp tục tăng cường và có khả năng đạt cấp 12-13, thậm chí tiến gần ngưỡng siêu bão nếu điều kiện môi trường thuận lợi.
Ông Nguyễn Văn Hưởng, Trưởng phòng Dự báo Thời tiết, cho biết: "Sinlaku đang trong giai đoạn phát triển mạnh do nhiệt độ mặt nước biển cao và ít chịu ảnh hưởng của gió cắt. Chúng tôi đang theo dõi sát sao để đưa ra cảnh báo kịp thời cho người dân."
Ảnh Hưởng Đến Việt Nam
Các tỉnh ven biển từ Quảng Ninh đến Khánh Hòa được khuyến cáo chuẩn bị ứng phó với các tác động của bão. Dự báo từ đêm nay, khu vực Biển Đông sẽ có gió mạnh, sóng lớn từ 4-6 mét, kèm theo mưa to đến rất to. Các địa phương cần:
- Tăng cường kiểm tra, gia cố nhà cửa và công trình ven biển.
- Sẵn sàng phương án sơ tán người dân ở vùng trũng thấp, ven sông.
- Hạn chế hoạt động trên biển, đảm bảo an toàn cho tàu thuyền.
Ngoài ra, bão Sinlaku cũng có thể gây mưa lớn diện rộng, dẫn đến nguy cơ lũ quét và sạt lở đất ở vùng núi phía Bắc và Bắc Trung Bộ. Cơ quan chức năng đã yêu cầu các địa phương chủ động triển khai biện pháp phòng chống.
Các Biện Pháp Ứng Phó Khẩn Cấp
Chính quyền các cấp đã tích cực phối hợp với lực lượng chức năng để ứng phó với tình hình. Ban Chỉ đạo Trung ương về Phòng chống Thiên tai đã ban hành công điện khẩn, yêu cầu:
- Theo dõi chặt chẽ diễn biến của bão, cập nhật thông tin liên tục cho người dân.
- Chuẩn bị lực lượng, phương tiện cứu hộ cứu nạn sẵn sàng hoạt động.
- Đảm bảo an toàn hệ thống đê điều, hồ đập, tránh sự cố vỡ đê.
Bà Lê Thị Thu Hà, Phó Chủ tịch UBND tỉnh Thừa Thiên Huế, nhấn mạnh: "Chúng tôi đã huy động toàn bộ lực lượng tại chỗ, đặc biệt là ở các huyện ven biển, để sẵn sàng ứng phó với mọi tình huống. Người dân cần tuân thủ nghiêm chỉ đạo của chính quyền."
Trong bối cảnh biến đổi khí hậu ngày càng phức tạp, việc nâng cao nhận thức và chuẩn bị ứng phó với thiên tai là vô cùng quan trọng. Người dân được khuyến cáo theo dõi thông tin chính thống từ các cơ quan chức năng để có biện pháp bảo vệ an toàn cho bản thân và gia đình.



