Siêu bão Sinlaku xuất hiện hiếm gặp ngoài khơi Cô Tô, tiến vào Biển Đông
Siêu bão Sinlaku hiếm gặp xuất hiện ngoài khơi Cô Tô

Siêu bão Sinlaku xuất hiện hiếm gặp ngoài khơi Cô Tô

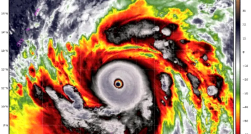
Một cơn siêu bão có tên quốc tế là Sinlaku đã hình thành và phát triển với cường độ mạnh hiếm gặp tại khu vực ngoài khơi đảo Cô Tô, thuộc tỉnh Quảng Ninh. Sự xuất hiện của cơn bão này đang thu hút sự chú ý đặc biệt từ các cơ quan khí tượng thủy văn trong nước và quốc tế.

Diễn biến phức tạp và nguy cơ cao

Theo thông tin từ Trung tâm Dự báo Khí tượng Thủy văn Quốc gia, siêu bão Sinlaku đã đạt cấp độ rất mạnh, với sức gió duy trì ở mức cao và khả năng gây ra sóng lớn, mưa to trên diện rộng. Cơn bão đang di chuyển theo hướng Tây Tây Nam, tiến dần vào vùng biển Đông và dự kiến sẽ ảnh hưởng trực tiếp đến các vùng biển của Việt Nam trong thời gian sắp tới.

Các chuyên gia nhận định, đây là một hiện tượng thời tiết cực đoan và hiếm gặp, đòi hỏi sự chuẩn bị kỹ lưỡng từ phía chính quyền địa phương và người dân. Ông Nguyễn Văn Hưng, một chuyên gia khí tượng hàng đầu, cho biết: "Siêu bão Sinlaku có cấu trúc phức tạp và tiềm ẩn nhiều rủi ro, đặc biệt là cho khu vực ven biển và hải đảo."

Banner rộng Pickt — ứng dụng danh sách mua sắm cộng tác cho Telegram

Ảnh hưởng dự báo đến Biển Đông và đất liền

Dự báo cho thấy, siêu bão Sinlaku sẽ gây ra nhiều tác động nghiêm trọng, bao gồm:

  • Sóng biển cao từ 4 đến 6 mét, thậm chí lên đến 8 mét ở vùng biển ngoài khơi.
  • Mưa lớn diện rộng với lượng mưa có thể vượt quá 200mm trong 24 giờ, gây nguy cơ ngập lụt và sạt lở đất.
  • Gió giật mạnh đe dọa đến an toàn của tàu thuyền và các công trình ven biển.

Các tỉnh thành như Quảng Ninh, Hải Phòng, và Thái Bình được cảnh báo cần tăng cường công tác phòng chống, sẵn sàng ứng phó với mọi tình huống có thể xảy ra. Bà Lê Thị Mai, Phó Chủ tịch UBND tỉnh Quảng Ninh, nhấn mạnh: "Chúng tôi đã triển khai kế hoạch khẩn cấp, yêu cầu người dân di dời khỏi vùng nguy hiểm và chuẩn bị lương thực, thuốc men."

Khuyến cáo và biện pháp phòng ngừa

Để giảm thiểu thiệt hại, các cơ quan chức năng đưa ra một số khuyến cáo quan trọng:

  1. Theo dõi sát sao thông tin dự báo thời tiết từ các nguồn chính thống.
  2. Hạn chế ra khơi đối với tàu thuyền, đặc biệt là ở vùng biển có bão hoạt động.
  3. Kiểm tra và gia cố nhà cửa, công trình để đảm bảo an toàn trước gió mạnh.
  4. Chuẩn bị sẵn sàng các vật dụng thiết yếu như đèn pin, nước uống, và thuốc men.

Siêu bão Sinlaku được dự báo sẽ tiếp tục di chuyển và ảnh hưởng đến khu vực Biển Đông trong vài ngày tới, với khả năng gây ra thiệt hại đáng kể nếu không có biện pháp ứng phó kịp thời. Cộng đồng cần nâng cao ý thức và tuân thủ các chỉ đạo từ cơ quan chức năng để bảo vệ tính mạng và tài sản.

Banner sau bài viết Pickt — ứng dụng danh sách mua sắm cộng tác với hình minh họa gia đình