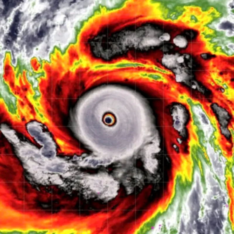
Siêu bão Sinlaku tiếp tục di chuyển về phía Bắc Mariana với cường độ rất mạnh
Theo thông tin từ các cơ quan khí tượng quốc tế, siêu bão Sinlaku đang áp sát quần đảo Bắc Mariana, duy trì sức gió mạnh và có khả năng gây ra những tác động đáng kể đến khu vực này. Cơn bão này được dự báo sẽ tiếp tục phát triển trong những giờ tới, làm dấy lên mối lo ngại về thời tiết cực đoan.
Diễn biến và cường độ của siêu bão
Siêu bão Sinlaku hiện đang di chuyển với tốc độ nhanh, hướng về phía quần đảo Bắc Mariana. Sức gió của cơn bão được ghi nhận ở mức rất mạnh, có thể gây ra sóng lớn và mưa lớn trên diện rộng. Các chuyên gia dự báo rằng Sinlaku sẽ duy trì cường độ này trong ít nhất vài ngày tới, trước khi có dấu hiệu suy yếu.
Điều này đặt ra những thách thức lớn cho công tác ứng phó thiên tai tại khu vực. Các cơ quan chức năng đã bắt đầu triển khai các biện pháp phòng ngừa, bao gồm cảnh báo sớm và sơ tán dân cư ở những vùng có nguy cơ cao.
Ảnh hưởng dự kiến đến Bắc Mariana và khu vực lân cận
Quần đảo Bắc Mariana, một lãnh thổ của Hoa Kỳ ở Tây Thái Bình Dương, có thể phải đối mặt với những thiệt hại nghiêm trọng do siêu bão Sinlaku gây ra. Các tác động dự kiến bao gồm:
- Sóng biển cao và nguy cơ lũ lụt ven biển.
- Mưa lớn kéo dài, có thể dẫn đến lở đất và ngập úng.
- Gió mạnh làm hư hại cơ sở hạ tầng và nhà cửa.
Cư dân trong khu vực được khuyến cáo nên theo dõi sát sao các bản tin thời tiết và tuân thủ chỉ đạo của chính quyền địa phương. Việc chuẩn bị kỹ lưỡng là rất quan trọng để giảm thiểu rủi ro từ thiên tai.
Công tác theo dõi và ứng phó
Các cơ quan khí tượng, bao gồm Trung tâm Cảnh báo Bão Liên hợp (JTWC), đang liên tục cập nhật thông tin về đường đi và cường độ của siêu bão Sinlaku. Dữ liệu từ vệ tinh và các trạm quan trắc được sử dụng để dự báo chính xác hơn, giúp các nhà chức trách đưa ra quyết định kịp thời.
Ngoài ra, các tổ chức quốc tế cũng đang phối hợp để hỗ trợ công tác ứng phó, đảm bảo an toàn cho người dân và tài sản. Sự hợp tác này là yếu tố then chốt trong việc đối phó với các hiện tượng thời tiết cực đoan ngày càng gia tăng.
Trong bối cảnh biến đổi khí hậu, các cơn bão mạnh như Sinlaku có thể trở nên phổ biến hơn, đòi hỏi sự chuẩn bị và đầu tư lâu dài vào hệ thống cảnh báo sớm và cơ sở hạ tầng chống chịu thiên tai.



